604-961-8688
realtor phone number +1 (604) 961-8688
agent realty RA Realty Alliance Inc.
778-589-2688
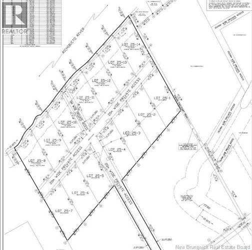
25 -12 RTE 510 Lower Main River, New Brunswick E4T1V2, Lower Main River , E4T1V2
Listing ID: NB128586
Share
$139,999
Price
Data last updated: April 12, 2026 at 05:27pm
Quick Access
Photos
Video
Map

Property Description

Welcome to a brand-new riverfront community in Lower Main River offering a limited selection of stunning waterfront and waterview lots along the scenic Richibucto River. This is your chance to build the home or getaway youve always dreamed of, with direct river access, included boat slips, and breathtaking views in every direction. Whether you choose a lot right on the water or one with elevated views, each property offers the perfect blend of privacy and natural beauty. Enjoy fishing, boating, and relaxing just steps from your door, with electricity currently being installed to every lot for added convenience. These spacious parcels are ideal for a full-time residence, vacation retreat, or investment opportunity, all just minutes from Richibucto and local amenities. Dont miss this rare opportunity to own in an up-and-coming waterfront subdivisionsecure your spot today and start living the river life youve been waiting for! (id:26452)

Other located at 25 -12 RTE 510 Lower Main River, New Brunswick E4T1V2. It's is in the Lower Main River neighborhood.
Show More keyboard_arrow_down


Agent Contact: Joshua Bell Phone: +15065304164
Listing Courtesy of: Creativ Realty
Source: crea , MLS#: NB128586

close
William Chim
604-961-8688

Here to help with your Real Estate inquiries

William Chim
604-961-8688
chat
Message
By sharing this listing, you have agreed with roomvu's terms and conditions of usage
$3,703.37
Monthly
$878,400
Total Mortgage
$219,600
Down Payment